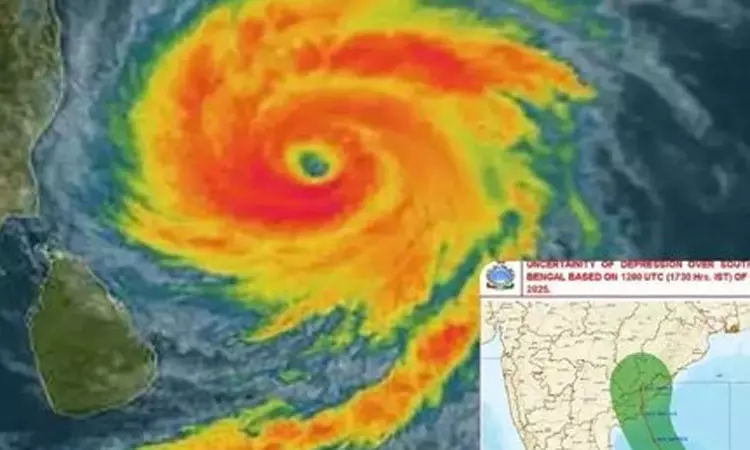
மோந்தா புயல் - தயார் நிலையில் இந்திய ராணுவம்

அடுத்த 24 மணி நேரத்தில் வங்க கடலில் உருவாகிறது மோந்தா புயல். மீட்பு நடவடிக்கைக்கு இந்திய ராணுவம் தயார் நிலையில் வைக்கப்பட்டுள்ளதாக தேசிய பேரிடர் மேலாண்மை ஆணையம் தெரிவித்துள்ளது. மாநில அரசுகளுடன் தொடர்பில் உள்ளதாகவும் நிலைமையை உன்னிப்பாக கவனித்து வருவதாகவும் தேசிய பேரிடர் மேலாண்மை தரப்பில் தெரிவிக்கப்பட்டுள்ளது.
விளையாட்டு
சினிமா
ஸ்பெஷல்ஸ்
Group sites
எங்களைப்பற்றி தனித்தன்மை பாதுகாப்பு தொடர்புகொள்ள வலைத்தள தொகுப்பு ஆலோசனைகள் வேலைவாய்ப்பு
Paper Ad Tariff Web Ad Tariff Terms & Conditions (E-paper) Archive Sitemap
காப்புரிமை 2024, © The Thanthi Trust Powered by Hocalwire





