புயல் எச்சரிக்கை: மக்கள் அச்சம்

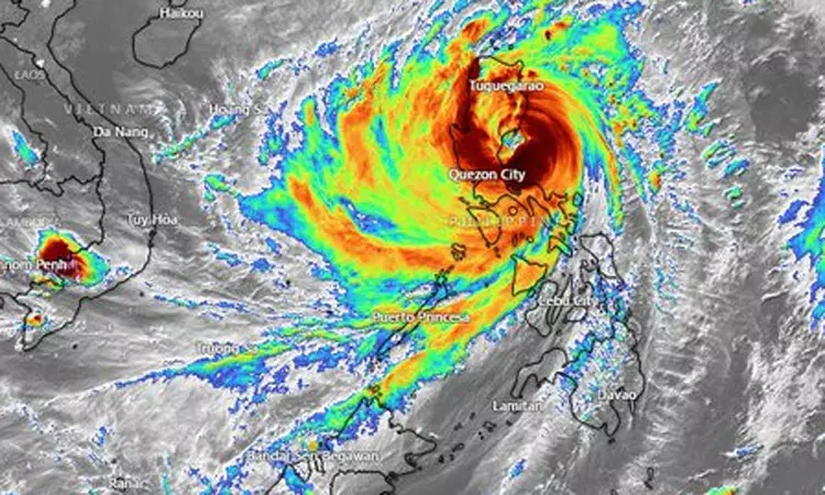
பிலிப்பைன்ஸ் நாட்டில் பங் வாங் என்ற அதிபயங்கர புயல் தாக்கும் என்ற எச்சரிக்கையால் அங்குள்ள மக்கள் அச்சம் அடைந்துள்ளனர். இப்புயல் மணிக்கு 230 கிலோ வேகத்தில் தாக்கும் என வானிலை மையம் எச்சரிக்கை விடுத்துள்ளது. புயல் நகர்ந்து வரும் பாதையின் செயற்கைக்கோள் படமே அச்சுறுத்தும் வகையில் உள்ளதாக தகவல்கள் தெரிவிக்கின்றன.
விளையாட்டு
சினிமா
ஸ்பெஷல்ஸ்
Group sites
எங்களைப்பற்றி தனித்தன்மை பாதுகாப்பு தொடர்புகொள்ள வலைத்தள தொகுப்பு ஆலோசனைகள் வேலைவாய்ப்பு
Paper Ad Tariff Web Ad Tariff Terms & Conditions (E-paper) Archive Sitemap
காப்புரிமை 2024, © The Thanthi Trust Powered by Hocalwire





