இன்றைய முக்கிய செய்திகள் சில வரிகளில்... 26-10-2025

உள்ளூர் முதல் உலகம் வரை இன்று நடைபெறும் முக்கிய நிகழ்வுகளை உடனுக்கு உடன் இங்கே தெரிந்து கொள்ளலாம்.
Live Updates
- 26 Oct 2025 7:15 PM IST
- சதுப்புநிலத்தில் கட்டுமானம் - ஈபிஎஸ் கண்டனம்
- “பள்ளிக்கரணை சதுப்புநிலம் பாதுகாக்கப்பட வேண்டிய பகுதியாகும். சதுப்பு நிலத்தில் கட்டுமானங்களுக்கு அனுமதி கூடாது
- சதுப்புநிலத்தில் கட்டுமானத்திற்கு அனுமதி வழங்கப்பட்டுள்ளது"
- தனியார் நிறுவனத்தை குறிப்பிட்டு எடப்பாடி பழனிசாமி குற்றச்சாட்டு
- 26 Oct 2025 5:27 PM IST
கரூருக்கு விஜய் சென்றால்... ராஜேந்திர பாலாஜி பேட்டி
விருதுநகர் மாவட்டம் சிவகாசி தனியார் மண்டபத்தில் அதிமுக பூத் கமிட்டி நிர்வாகிகள் ஆலோசனை கூட்டம் முன்னாள் அமைச்சர் கே.டி ராஜேந்திர பாலாஜி தலைமையில் நடைபெற்றது. இக்கூட்டத்திற்கு பின் அதிமுக முன்னாள் அமைச்சர் கே.டி ராஜேந்திர பாலாஜி செய்தியாளர்களை சந்தித்தார். அப்போது அவர் பேசியதாவது, "எடப்பாடி பழனிச்சாமி கூறும் கருத்துக்களை உள்வாங்கிக் கொண்டு அதை செய்தால் இந்த அரசை நாங்கள் பாராட்டுவோம். அதை விடுத்துவிட்டு விளக்கம் கொடுத்துக் கொண்டே இருந்தால் இந்த அரசுக்கு மக்கள் முடிவு கட்டுவார்கள். தீபாவளிக்கு தமிழகத்தில் 750 கோடிக்கு மேல் மது விற்பனை நடைபெற்றுள்ளது தமிழகத்தின் சாபக்கேடு.
விஜய் கரூருக்கு சென்றால் மீண்டும் எதும் அசம்பாவிதம் நடந்துவிடக் கூடாது என்பதற்காக அவர் செல்லவில்லை. உயிரிழந்தவர்களின் குடும்பங்களுக்கு 20 லட்சம் ரூபாய் பணம் செலுத்தியுள்ளார். பாதிக்கப்பட்ட மக்களிடம் வீடியோக்களில் பேசி துக்கம் விசாரித்து விட்டார். கரூரில் 41 பேர் உயிரிழந்த சம்பவம் நிச்சயமாக விஜய்க்கு தெரிந்து நடந்தது கிடையாது. இதில், ஏற்பட்டுள்ள சதிகள் எல்லாம் விசாரிப்பதற்கு தான் சிபிஐ விசாரணை நடத்தி வருகிறது. கரூரில் உயிரிழந்த 41 குடும்பங்களிடம் மனம் விட்டு பேச வேண்டும் என்பதற்காகத்தான் அவர்கள் குடும்பத்தை நேரில் வரவழைத்துள்ளார் எனத் தெரிவித்தார்.
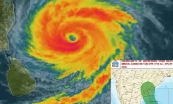
- 26 Oct 2025 3:03 PM IST
மோந்தா புயல் - தயார் நிலையில் இந்திய ராணுவம்
அடுத்த 24 மணி நேரத்தில் வங்க கடலில் உருவாகிறது மோந்தா புயல். மீட்பு நடவடிக்கைக்கு இந்திய ராணுவம் தயார் நிலையில் வைக்கப்பட்டுள்ளதாக தேசிய பேரிடர் மேலாண்மை ஆணையம் தெரிவித்துள்ளது. மாநில அரசுகளுடன் தொடர்பில் உள்ளதாகவும் நிலைமையை உன்னிப்பாக கவனித்து வருவதாகவும் தேசிய பேரிடர் மேலாண்மை தரப்பில் தெரிவிக்கப்பட்டுள்ளது.
- 26 Oct 2025 3:00 PM IST
தாயுமானவர் திட்டம் முதியோர்களுக்கும், மாற்றுத்திறனாளிகளுக்கும் உதவும் திட்டமாக தெரியவில்லை. தேர்தலுக்காக மக்களை ஏமாற்றுவதற்காக போடப்பட்ட திட்டமாக தெரிகிறது என முன்னாள் அமைச்சர் ஆர்.பி.உதயகுமார் கூறியுள்ளார்.
- 26 Oct 2025 2:56 PM IST
கரூரில் பாதிக்கப்பட்ட மக்களை விஜய் சந்திப்பது நல்ல விஷயம் - வானதி சீனிவாசன்
கரூரில் பாதிக்கப்பட்ட மக்களை தவெக தலைவர் விஜய் சந்திப்பது நல்ல விஷயம். கரூருக்கு சென்று பாதிக்கப்பட்ட மக்களை விஜய் சந்திக்காதது குறித்து அவரிடம்தான் கேட்க வேண்டும். கரூர் விவகாரத்தில் சிபிஐ விசாரணையின் முடிவு வரும்போது நீதி கிடைக்கும் வாய்ப்பு பிரகாசமாக உள்ளது என்று பாஜக எம்.எல்.ஏ வானதி சீனிவாசன் கூறியுள்ளார்.
- 26 Oct 2025 2:52 PM IST
அணுசக்தியால் இயங்கும் ஏவுகணை
அணுசக்தியால் இயங்கும் ஏவுகணையை சோதனை செய்தது ரஷியா. பியூரெவெஸ்ட்னிக் ஏவுகணையை சோதனை செய்ததாக அறிவித்துள்ளது.
- 26 Oct 2025 2:15 PM IST
பாகிஸ்தான் - ஆப்கான் மோதலை மிக விரைவில் தீர்க்கப் போகிறேன்- டிரம்ப்
பாகிஸ்தான் - ஆப்கானிஸ்தான் மோதலை மிக விரைவில் தீர்க்கப் போவதாக அமெரிக்க ஜனாதிபதி டிரம்ப் கூறியுள்ளார். பாகிஸ்தான் ராணுவத் தளபதி முனீர், பிரதமர் ஷெபாஸ் ஷெரீப் ஆகியோர் சிறந்த மனிதர்கள் என்றும் டிரம்ப் கருத்து தெரிவித்துள்ளார்.
- 26 Oct 2025 2:12 PM IST
முதல்-அமைச்சர் மு.க.ஸ்டாலினுக்கு மாரி செல்வராஜ் நன்றி
என் முதல் படமான பரியேறும் பெருமாளில் ஆரம்பித்து கர்ணன், மாமன்னன், வாழை இப்போது பைசன் வரை என் மீதும் என் படைப்பின் மீதும் பெரும் நம்பிக்கை வைத்து ஆர்வமாய் பார்த்து நேரில் அழைத்து என்னை உச்சிமுகர்ந்து கொண்டாடும் உங்களின் அத்தனை பேரன்பிற்கும் பெரும் பிரியத்திற்கும் என் இதயத்திலிருந்து கசிந்துருகும் நன்றிகளை தெரிவித்துக்கொள்கிறேன் ஐயா என இயக்குனர் மாரி செல்வராஜ் கூறியுள்ளார்.













